[Amtlicher Beitrag] Bekanntmachung der Veröffentlichung im Internet des Entwurfs des Bebauungsplanes Nr. 25 der Gemeinde Trappenkamp
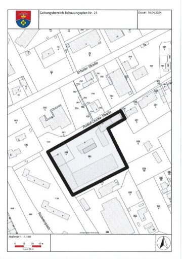
Der von der Gemeindevertretung in der Sitzung am 11.12.2025 gebilligte und zur Veröffentlichung im Internet bestimmte Entwurf des Bebauungplanes Nr. 25 der Gemeinde Trappenkamp für den Bereich des ehemaligen „Ducke-Geländes“, südlich der Rudolf-Kinau-Straße, Haus-Nr. 6,8, und 10 und die Begründung sowie die nach Einschätzung der Gemeinde wesentlichen, bereits vorliegenden umweltbezogenen Informationen sind gemäß § 3 Absatz 2 Satz 1 BauGB für die Dauer der Veröffentichungsfrist vom 02.02.2026 bis 06.03.2026 im Internet veröffentlicht und können unter folgender Internetseite oder Internetadresse eingesehen werden:
www.amt-bornhoeved.de → Bürgerservice & Politik → Bauleitplanung → laufende Beteiligungsverfahren → Bebauungspläne im laufenden Beteiligungsverfahren → Gemeinde Trappenkamp
Folgende Arten umweltbezogener Informationen sind verfügbar:
- Artenschutzbericht, GFN_ASB_Trappenkamp
- A-RW 1-Untersuchung mit Wasserhausahaltsbilanzierung
- Bodengutachten – Fachgutachterliche Begleitung der Rückbauarbeiten / Altlasten/Ergänzung zu Orientierenden Untersuchungen nach § 12 BBodSchV
Die diesen Informationen zugrunde liegenden Unterlagen werden ebenfalls im Internet veröffentlicht.
Zusätzlich zur Veröffentlichung im Internet steht für die Einsichtnahme ein öffentlich zugängliches Lesegerät in der Amtsverwaltung Bornhöved, Am Markt 3, 24610 Trappenkamp, Zimmer A 28, während der folgenden Öffnungszeiten
montags von 13.30 Uhr bis 17.30 Uhr,
mittwochs, donnerstags und freitags von 8.30 Uhr bis 12.00 Uhr
zur Verfügung, das v genutzt werden kann. Es können auch Termine außerhalb der o. g. Öffnungszeiten vereinbart werden. Der Termin kann per Email: bauleitplanung@amt-bornhoeved.de oder telefonisch unter der Rufnummer 04323/9077-57 vereinbart werden.
Von einer Umweltprüfung wird abgesehen, weil der Bebauungsplan nach § 13a BauGB der Innenentwicklung dient.
Während der Veröffentlichungsfrist können alle an der Planung Interessierten die Planunterlagen einsehen und Stellungnahmen abgeben. Stellungnahmen sollen elektronisch an bauleitplanung@amt-bornhoeved.de übermittelt werden.
Bei Bedarf können Stellungnahmen aber auch auf anderem Weg schriftlich oder während der Dienststunden zur Niederschrift in der Amtsverwaltung Bornhöved, Am Markt 3, 24610 Trappenkamp, Zimmer A 28, abgegeben werden.
Es wird darauf hingewiesen, dass nicht innerhalb der Veröffentlichungsfrist abgegebene Stellungnahmen bei der Beschlussfassung über den Bebauungsplan Nr. 25 unberücksichtigt bleiben können, sofern die Gemeinde Trappenkamp deren Inhalt nicht kannte und nicht hätte kennen müssen und deren Inhalt für die Rechtmäßigkeit des Bebauungsplanes Nr. 25 nicht von Bedeutung ist.
Die nach § 3 Absatz 2 Satz 1 BauGB zu veröffentlichenden Unterlagen und der Inhalt dieser Bekanntmachung sind gemäß § 3 Absatz 2 Satz 5 zweiter Halbsatz BauGB über den Digitalen Atlas Nord des Landes Schleswig-Holstein zugänglich. Der Digitale Atlas Nord ist das zentrale Landesportal des Landes Schleswig-Holstein im Sinne des § 3 Absatz 2 Satz 5 zweiter Halbsatz BauGB, erreichbar unter www.schleswig-holstein.de/bauleitplanung.
Der Inhalt dieser Bekanntmachung wird im Internet unter www.amt-bornhoeved.de zugänglich gemacht und kann dort über die Schaltflächen
→ Bürgerservice & Politik → Veröffentlichungen und Wahlen → Amtliche Bekanntmachungen → Trappenkamp → 2026 aufgerufen werden.
Die Verarbeitung personenbezogener Daten erfolgt auf der Grundlage der Artikel 6 Absatz 1 Buchstabe e der Datenschutzgrundverordnung (DSGVO) in Verbindung mit § 3 BauGB und dem Landesdatenschutzgesetz Schleswig-Holstein. Sofern eine Stellungnahme ohne Absenderangaben abgegeben wird, erhält dessen Absender keine Mitteilung über das Ergebnis der Prüfung. Weitere Informationen sind dem Formblatt „Informationspflichten bei der Erhebung von Daten im Rahmen der Öffentlichkeitsbeteiligungen nach dem BauGB (Artikel 13 DSGVO)“ zu entnehmen, das zusammen mit den Planunterlagen veröffentlicht wird.
Lageplan mit Darstellung des Geltungsbereichs der Planung:

| Trappenkamp, den 14.01.2026
|
Für die Gemeinde Trappenkamp bekannt gemacht:
Amt Bornhöved Im Auftrage (Timm)
|



